Ingresará un nuevo frente frío a Baja California

0
WhatsApp Image 2025-12-26 at 07.51.19

🔸Existirán condiciones propicias para la caída de nieve o aguanieve en las sierras de Baja California, Sonora y Chihuahua.

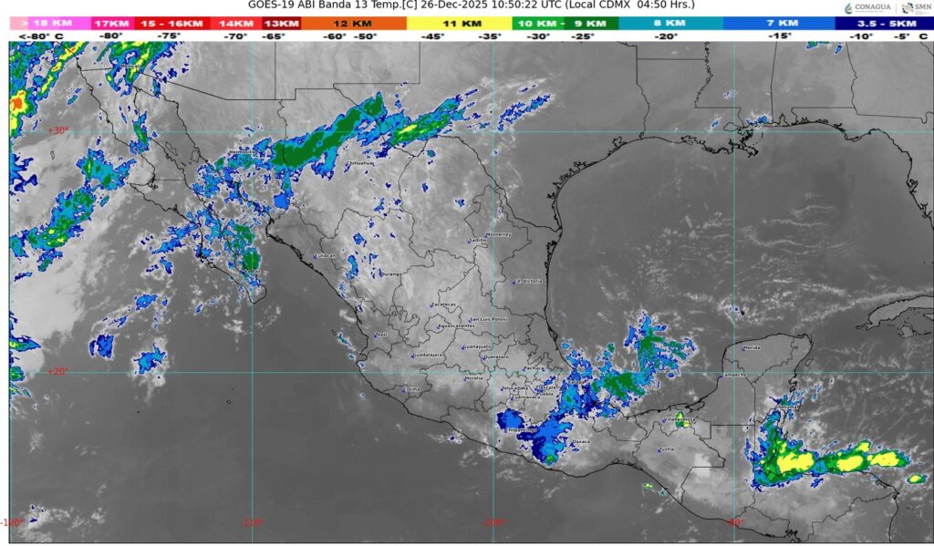
#NACIONAL🇲🇽 II Buenos días ☀️ ll El Servicio Meteorológico Nacional informa que un nuevo frente frío (número 24) ingresará a Baja California, en combinación con una vaguada en niveles medios y altos de la atmósfera, la corriente en chorro polar y un río atmosférico, generarán descenso de temperatura en el noroeste del territorio nacional, así como lluvias puntuales fuertes en Baja California; adicionalmente lluvias y chubascos en Baja California Sur, Sonora y Chihuahua.

Asimismo, existirán condiciones propicias para la caída de nieve o aguanieve en las sierras de Baja California, Sonora y Chihuahua.

Por otra parte, un canal de baja presión sobre el sureste mexicano y la península de Yucatán, en interacción con una vaguada en altura y con una circulación ciclónica en niveles medios de la atmósfera en el golfo de México, originarán lluvias fuertes a muy fuertes en Puebla, Veracruz, Oaxaca, Chiapas y Tabasco.

Simultáneamente, un canal de baja presión en el centro del país, aunado a inestabilidad atmosférica y al ingreso de humedad del océano Pacífico y golfo de México, ocasionarán lluvias y chubascos en dicha región; con lluvias puntuales fuertes en Guerrero.

Deja una respuesta

Tu dirección de correo electrónico no será publicada. Los campos obligatorios están marcados con *